#2025权威出品#天津格调澄园售楼处发布@格调澄园售楼处热线

搜狐焦点慈溪站 2025-09-09 10:29:34
用手机看
扫描到手机,新闻随时看

扫一扫,用手机看文章
更加方便分享给朋友

天津格调澄园 售楼处电话:400-100-1299转5888 网上售楼中心〢欢迎来电咨询〢1v1销售专业讲解

天津格调澄园

售楼处电话:400-100-1299转5888

网上售楼中心〢欢迎来电咨询〢1v1销售专业讲解

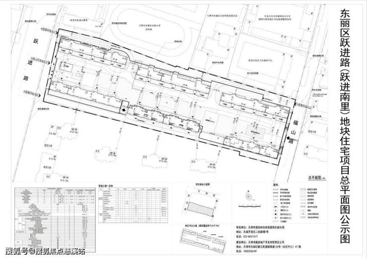
项目位于天津市东丽区张贵庄街,跃进路以东、福山路以西,临近地铁11号线招远路站;占地面积22487.9平方米,总建筑面积75000平方米(含地下),其中地上建筑面积64000平方米,地下建筑面积11000平方米,主要实施住宅、配套公建项目建设。总投资额97000万元。

单体建筑方面,地上最高层数11层,地下1层,最大单体高度43米施工阶段计划工期为2024年12月30日至2026年09月30日。据悉,该项目由天津市东丽城市基础设施投资集团有限公司与天津泰达建设集团有限公司合作开发,是“格调”品牌首次进入东丽区的开篇之作

声明:本文由入驻焦点开放平台的作者撰写,除焦点官方账号外,观点仅代表作者本人,不代表焦点立场。